Каждый город имеет свою историю. У одних она исчисляется тысячелетиями, другие, как мой город Новосибирск, только начинают отсчет прожитому. Но, несмотря на это, все ценное, что создается человеческим ге-нием и талантом народа, должно оставлять свой след в истории. Каждый го-род имеет свое лицо, свою индивидуальность, каждый по-своему красив и неповторим. Но в любом городе есть улицы. В их названиях отражается время и жизнь. В каждом городе есть улицы, носящие имена видных об-щественных и государственных деятелей, крупнейших ученых, мастеров литературы и искусства. Так, улица, на которой я живу, названа в честь великого русского поэта Николая Алексеевича Некрасова.
Н. А. Некрасов вошел в историю русской литературы как поэт-реалист, рисующий правдивые картины русской действительности, и как выдающийся журналист. С его именем связаны названия популярнейших журналов XIX столетия “Современник” и “Отечественные записки”. Именно на страницах этих журналов печатал он свои произведения, рассказывающие о тяжелой доле русского крестьянина (“Несжатая полоса”, поэма “Мороз, Красный нос”, “Размышления у парадного подъезда”), о трудной и беспросветной жизни городской бедноты (цикл “О погоде”, “Огородник”, “Еду ли ночью по улице темной...”, “Вчерашний день, часу в шестом...”), стихи, посвященные А. Я. Панаевой (“Мы с тобой бестолковые люди...”, “Если, мучимый страстью мятежной...”, “О, письма женщины нам милой...”) и многие другие произведения.
Стихи Некрасова впервые в русской поэзии с резкостью и прямотой раскрыли перед читателем картины народной жизни. Поэт изобразил убогую русскую деревню с ее печалью и нищетой и “несжатую полосу” крестьянина, которому “моченьки нет”. В его произведениях нашли отклик страдания простого человека.
Стихи Некрасова имели огромный успех, все чувствовали, что появился поэт, которого еще не было на Руси. Он произнес обличительный приговор самодержавию, высказал свою любовь к народу и светлую веру в прекрасное будущее Родины.
Расцвет творчества поэта относится к 60-м годам XIX века. В это “трудное и лихое” время его муза заговорила “бойким” языком. Чернышевс-кий о нем писал: “Вы теперь лучшая — можно сказать, единственная прекрасная — надежда нашей литературы”.
Родине и народу посвящены многие стихотворения поэта. Еще в ранний период творчества Некрасова обнаружилось, что “родина”, “земля” — для него всепоглощающая тема. Трудно себе представить какое-нибудь стихотворение Некрасова, в котором не было бы русской природы и русских людей. “Да, только здесь могу я быть поэтом!” — воскликнул он, вернувшись из-за границы. Чужбина никогда не привлекала его, поэт даже попытки не сделал отречься, хотя бы на короткое время, “от песни, что навеяна метелями и вьюгами родимых деревень”. Поэт благоговел перед Родиной; он сердечно изображал деревню, крестьянские избы, русский пейзаж: “Опять она, родимая сторона, с ее зеленым благодатным летом...” Из этой пламенной любви к Родине, к ее великому народу и изумительной русской природе и выросла поэзия, которая составляет наше богатство.
Некрасов болел за судьбу России и призывал к работе по преобразованию ее в “могучую и всесильную” страну. Поэт высоко ценил в русском народе его активность в борьбе за счастье.
Да, не робел - за отчизну любезную
Вынес достаточно русский народ.
Некрасов угадывал великую роль России.
Покажет Русь, что есть в ней люди,
Что есть грядущее у ней...
Поэт посылает проклятие угнетателям народа – “владельцам роскошных палат”.
Изображению народного героя посвящены наиболее известные стихотворения Некрасова. Некрасов был певцом народа-пахаря и любовно изображал крестьянина, идущего за сохой. И видел поэт, как тяжела его жизнь, слышал, как стоном стелется его тоска над бесконечным простором лугов и полей, как тянет он свою лямку.
Поэт сочувствует порабощенному народу:
Назови мне такую обитель,
Я такого угла не видал,
Где бы сеятель твой и хранитель,
Где бы русский мужик не стонал.
Отдельные эпизоды превращаются в широкую картину крепостной действительности. “Забытая деревня” — это название относится не только к одной деревне, но и ко всей стране, в которой таким “забытым деревням” нет числа. Много тоски и грусти в поэзии Некрасова, много в ней человеческих слез и горя. Но есть в поэзии Некрасова и русский размах натуры, который зовет на безумный подвиг, на борьбу:
Иди в огонь за честь отчизны,
За убежденья, за любовь.
Иди и гибни безупречно:
Умрешь не даром. Дело прочно,
Когда под ним струится кровь!
О том, что Некрасов был действительно народным поэтом, свидетельствует и то, что многие его стихи стали песнями, романсами (“Коробейники”, романс о разбойнике Кудеяре).
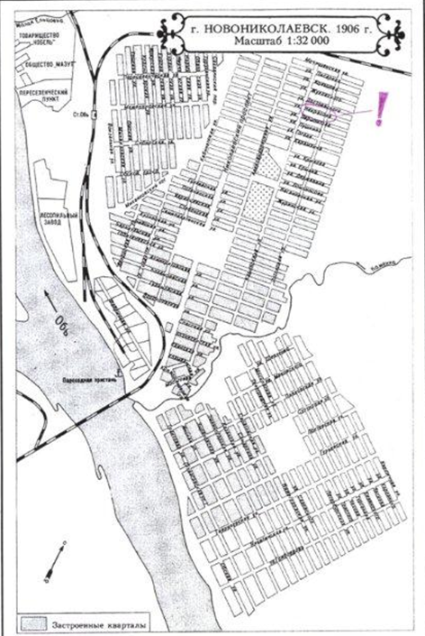
Улица Некрасова расположена в Центральном районе между улицами Ипподромской и Советской. Она очень короткая, ее длина меньше 2 км., а точнее – всего 1 км 820 м. В интервале между улицей Мичурина и Красным проспектом нет ни одного здания, стоящего на этой улице. То есть улица Некрасова прерывается на указанном расстоянии, а затем появляется в интервале между Красным Проспектом и улицей Советской. Неизвестно в каком году появилась улица Некрасова, но уже в 1906 году она была нанесена на карту города. Убедиться в этом позволяет представленная карта города Новониколаевска 1906 года.
Раньше в Новосибирске была еще одна улица с названием Некрасова, расположенная в Советском районе. Неизвестно в честь кого была названа та улица. Вполне возможно, в честь Николая Васильевича Некрасова, родившегося 23.12.1915 в Новосибирской области - участника Великой Отечественной войны, героя Советского Союза. Или в честь других его однофамильцев - Николая Николаевича Некрасова (академика АН СССР), уроженца Иркутска или Ивана Михайловича Некрасова, родившегося 19.05.1892 в Костромской области, тоже героя Советского Союза, участника Великой Отечественной войны.
Но, так или иначе, в целях устранения одноименных названий, 23.07.1958 решением горисполкома она была переименована в улицу Березовскую.
Еще совсем недавно на моей улице (прямо напротив моего дома) были расположены частные одноэтажные дома. Несколько лет назад их снесли и начали застраивать освободившуюся территорию многоэтажными домами. Так, построен и сдан в эксплуатацию 17-ти этажный жилой дом с административными помещениями под номером 63, прямо за ним строится еще одно 18-ти этажное жилое здание. В интервале от улицы Ольги Жилиной до ул. Семьи Шамшиных еще остались деревянные одноэтажные дома и три двух-трехэтажных каменных дома, но и они скоро будут снесены, также как и оставшиеся корпуса от основанного еще в 1918 году Новосибирского жирового комбината.
Так как на моей улице находилось только одно промышленное предприятие, я хочу привести небольшую информацию об истории Новосибирского жирового комбината, учитывая, что жизнь моих близких людей связана с этим заводом. Моя мама, будучи школьницей, временно работала со своей одноклассницей на Новосибирском жировом комбинате и впервые получила оплату за свой труд. А моя тетя, окончив Новосибирское пищевое училище, посвятила этому предприятию более 20 лет своей жизни.
Новосибирский Жировой Комбинат был крупнейшим предприятием отрасли за Уралом и сначала открылся как мыловаренный завод, а затем быстро рос и расширялся, превращаясь из небольшого кооперативного мыловаренного завода в крупное промышленное предприятие. Лаборатория завода была одной из лучших в Сибири. Кроме основного контроля сырья и готовой продукции в ней проводился ряд исследовательских и экспериментальных работ. Лаборатория являлась лабораторией краевого значения, и ее анализы и заключения были непререкаемы. Здесь проводились исследовательские работы по возможности промышленного получения эфирных масел из дикорастущих трав Алтая для их использования в производстве туалетного мыла, разработка методики получения канифольного мыла. В годы Великой Отечественной войны на фронт было призвано 211 мужчин (56% всех работающих мужчин). Женщинам-работницам предприятия пришлось осваивать профессии, до того времени считавшиеся мужскими. В промышленности было введено военное положение и 12-часовой рабочий день. Из-за дефицита сырья производство продукции упало, но в то же время были освоен выпуск новых видов продукции, производившейся для фронта. Острый недостаток пищевых жиров потребовал организации их производства. На базе оборудования эвакуированных заводов комбинат начинает выпускать пищевые жиры. В сжатые сроки приспособили помещение, смонтировали оборудование и уже в декабре 1941 г. организовали производство гидрожира, отгружавшегося для фронта, а также для снабжения населения. Для нужд армии был организован выпуск оборонной продукции. В цехах комбината выпускался солидол, технический вазелин. Было налажено производство технического глицерина, из которого здесь же делалась зажигательная жидкость "Стеол". На территории НЖК располагались отдельные цехи Тульского оружейного завода, в которых выпускались минометы, запасные части к ним, противотанковые бутылки с зажигательной смесью. В годы войны коллектив принял людей, эвакуированных из западных районов страны, рабочие расселяли их по своим квартирам. Под жилье оборудовали помещение гаража, здесь проживало около 200 семей. В помещении клуба было открыто офицерское училище, а в конторе разместились роты трудового батальона.
На территории предприятия был установлен памятник работникам НЖК, погибшим в Великой Отечественной Войне.
В августе 1952 года вступил в строй маргариновый завод, выпускавший столовые, кулинарные, кухонные и пищевые масла. В 1956 г. было организовано майонезное отделение, где производился майонез 4 сортов.
Начиная с 1959 г. завод переводится на более передовую технику и технологию производства и на предприятии идет активная модернизация производства.
В современное время данное предприятие выпускало несколько сортов мыла, маргарина и майонеза, снабжая население Новосибирской области свежими и качественными товарами. Действующий в настоящее время маргариновый цех производит майонез под торговыми марками «Домашний праздник», «Оливьез», «Чудесница», «Провансаль», маргарины под торговыми марками «Жар-печка», «Мария», «Просто Мария» и многое другое.
И хотя очевидно, что город должен развиваться и люди достойны жить в современных, благоустроенных квартирах, а промышленные предприятия должны быть вынесены за город, одновременно с радостью, что облик улицы улучшается, я, почему-то испытываю грусть от того, что приходится расставаться с привычным и полюбившимся видом моей родной улицы и потому, что теряется «часть истории» моего города. Наверное, скоро я привыкну к ее новому облику и буду любоваться им, проходя по своей улице.
Мне нравится, что на вопрос: «Где ты живешь?», я отвечаю – на улице Некрасова. Я не хочу сказать, что улицы, не носящие имена великих людей, например, Ипподромская или Овражная, чем-то хуже моей улицы, но я испытываю гордость, что живу на улице, названной в честь великого русского поэта.
В доме № 84, в котором я живу, построенном на улице Некрасова в 1973 году, размещается Новосибирская областная библиотека им. М. Горького. Мои бабушка, дедушка, мама и моя тетя заселились в дом со дня его сдачи в эксплуатацию. Я живу в своем доме с самого своего рождения.
Беляев Алексей, 7 В класс, Гимназия №13








